
Piuíííííííí!!!!!!!!! Essa viagem tá cheia de novidades viu!
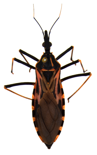
Aqui no Vagão 4 todo mundo se ajuda para entender o ciclo da Doença de Chagas… tem vetores, tem hospedeiros e eles podem estar perto de você, até mesmo dentro da sua Casa….
Somos João Paul e Jonathan e convidamos vocês para desfrutar dessa experiência incrível para conhecer os barbeiros e os mamíferos que hospedam Trypanossoma cruzi.
Nosso vagão se chama Casa e Saúde Única, isso porque a Saúde Única é um esforço coletivo de diversos profissionais da saúde como biólogos, veterinários, médicos para enfrentar a Doença de Chagas e levar qualidade de vida aos portadores e prevenir que novas pessoas sejam infectadas.
Diferenciar um barbeiro de outro inseto e evitar o contato com mamíferos hospedeiros, pode ser fundamental para evitar o causador da Doença de Chagas.
Primeira vez no site? Comece por aqui









Vamos conhecer os vetores e os mamíferos envolvidos no ciclo da Doença de Chagas

Novos posts na sua caixa de entrada

Sobre mim
Oi, eu sou a Lillie. Eu era editora de uma revista, mas me tornei mãe em tempo integral e escritora freelancer em 2017. Quando não estou passando o tempo com meus incríveis filhos e marido, adoro escrever sobre a minha paixão por comida, aventura e como ter uma vida saudável e organizada. Leia mais



