
Estamos prestes a entrar no mundo incrível dos insetos!! Mas quem são os insetos? Como podemos identificá-los?
Os insetos são animais revestidos e protegidos por uma armadura (exoesqueleto), sim, tipo de super-heróis! Eles também possuem o corpo dividido em três partes: Cabeça, Tórax e Abdômen. Além dessas partes, podemos observar um par de antenas, um par de olhos, um par de asas e três pares de pernas.

Mas, João Paulo, como faço para diferenciar um barbeiro dos demais insetos? Isso vamos ver a partir de agora!
Primeiramente, todos os barbeiros são percevejos obrigatoriamente hematófagos, ou seja, se alimentam do sangue de seus hospedeiros. Eles são muitas vezes confundidos com besouros e outros tipos percevejos. A principal forma de diferenciar um barbeiro dos demais percevejos é através da estrutura Rostro, ou seja, o aparelho bucal!

Quer aprender mais sobre esses insetos vetores? Vamos brincar de jogo da memória?? Clique AQUI e divirta-se!!!!
Agora que sabemos diferenciar um barbeiro dos besouros e demais percevejos…. Vamos conhecer mais um pouco sobre os insetos do nosso jogo de memória!

Nome popular: Besouro
Curiosidade: Não é vetor da Doença de Chagas.
Característica: Aparelho bucal tipo mastigador servindo para quebrar sementes ou raspar madeiras; asas anteriores coriáceas bem rígidas conhecidas como élitros; tórax e abdômen uniforme grande e arredondado.
Nome científico: Coelosis biloba

Nome popular: Percevejo predador
Curiosidade: Não é vetor da Doença de Chagas.
Característica: Aparelho bucal tipo sugador, com três segmentos rostrais curtos e robusto, servem para perfurar insetos e sugar fluidos internos; asas anteriores com metade endurecida e outra membranosa conhecidas como hemiélitro; abdômen alongado.
Nome científico: Eidmania sp.

Nome popular: Percevejo fitófagos (Maria-fedida)
Curiosidade: Não é vetor da Doença de Chagas.
Característica: Aparelho bucal tipo sugador, com quatro segmentos rostrais alongados e curvos, servem para perfurar plantas e sugar a seiva; asas anteriores com metade endurecida e outra membranosa conhecidas como hemiélitro; abdômen alongado.
Nome científico: Spartocera sp.
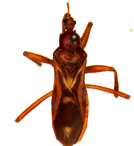
Existem diferentes tipos de barbeiros (total de 156 espécies) e podemos, principalmente, diferenciar por estruturas encontradas na cabeça e padrão cromático do abdômen. Alguns barbeiros só ocorrem em determinados locais (residências humanas ou ambientes de florestas) e determinadas regiões do Brasil.

Nome popular: Barbeiro
Curiosidade: É potencial vetor da Doença de Chagas.
Característica: Aparelho bucal tipo sugador, com três segmentos rostrais retos, servem para perfurar humanos, outros mamíferos e aves, sugando sangue; asas anteriores com metade endurecida e outra membranosa conhecidas como hemiélitro; abdômen alongado; encontrados ao redor de residências humanas; ocorre no Mato Grosso do Sul e Bolívia.
Ordem: Hemiptera
Nome científico: Rhodnius stali Lent, Jurberg & Galvão, 1993

Nome popular: Barbeiro
Curiosidade: É potencial vetor da Doença de Chagas.
Característica: Aparelho bucal tipo sugador, com três segmentos rostrais retos, servem para perfurar humanos, outros mamíferos e aves, sugando sangue; asas anteriores com metade endurecida e outra membranosa conhecidas como hemiélitro; abdômen alongado; encontrados em ninhos de aves; ocorre no Peru e no Centro-Oeste, Sudeste, e Nordeste do Brasil.
Nome científico: Psammolestes tertius Lent & Jurberg, 1965

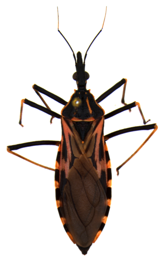
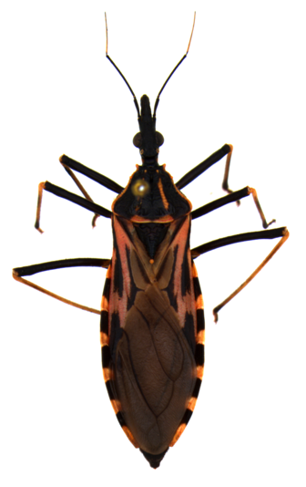
Nome popular: Barbeiro
Curiosidade: Um dos mais importante vetores da Doença de Chagas.
Característica: Aparelho bucal tipo sugador, com três segmentos rostrais retos, servem para perfurar humanos, outros mamíferos e aves, sugando sangue; asas anteriores com metade endurecida e outra membranosa conhecidas como hemiélitro; abdômen alongado; encontrados em ninhos de roedores, morcegos e domicílios humanos; ocorre na Argentina, Bolívia, Paraguai, Uruguai e em quase todo o Brasil, exceto na região Norte.
Nome científico: Panstrongylus megistus (Burmeister, 1835)

Nome popular: Barbeiro
Curiosidade: Um dos mais importante vetores da Doença de Chagas.
Nome científico: Triatoma tibiamaculata (Pinto, 1926)
Característica: Aparelho bucal tipo sugador, com três segmentos rostrais retos, servem para perfurar humanos, outros mamíferos e aves, sugando sangue; asas anteriores com metade endurecida e outra membranosa conhecidas como hemiélitro; abdômen alongado; encontrados em refúgios de marsupiais e roedores; ocorre na região costeira da Mata Atlântica do Brasil.

Nome popular: Barbeiro
Curiosidade: Um dos mais importante vetores da Doença de Chagas.
Característica: Aparelho bucal tipo sugador, com três segmentos rostrais retos, servem para perfurar humanos, outros mamíferos e aves, sugando sangue; asas anteriores com metade endurecida e outra membranosa conhecidas como hemiélitro; abdômen alongado com manchas em forma de notas musicais; encontrados em ocos de árvores, galinheiros, currais e domicílios humanos; ocorre na Argentina, Bolívia, Paraguai, Uruguai e nas regiões Centro-Oeste, Sudeste e Nordeste do Brasil.
Nome científico: Triatoma sordida (Stal, 1859)




Novos posts na sua caixa de entrada

Sobre mim
Oi, eu sou a Lillie. Eu era editora de uma revista, mas me tornei mãe em tempo integral e escritora freelancer em 2017. Quando não estou passando o tempo com meus incríveis filhos e marido, adoro escrever sobre a minha paixão por comida, aventura e como ter uma vida saudável e organizada. Leia mais
